
El Gobierno brasileño manifestó este lunes su “profunda indignación” por las sanciones anunciadas por Estados Unidos a la esposa del juez Alexandre de Moraes, relator del proceso que condenó por go...

Donald Trump y altos funcionarios de su gobierno se sumaron a miles de estadounidenses en el homenaje al activista conservador Charlie Kirk, asesinado de un disparo el pasado 10 de setiembre.

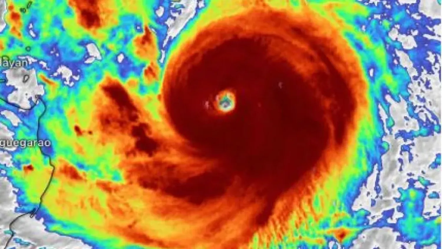
La megalópolis suroriental china de Shenzhen anunció planes para evacuar a unas 400.000 personas ante la aproximación del supertifón Ragasa, que, según las autoridades locales, podría ser el de may...

Al margen de esta cita en Nueva York, el próximo lunes y en una rueda de prensa, 10 países –entre ellos Francia–, reconocerán al Estado palestino, según un asesor del presidente francés, Emmanuel M...

El ministro de Defensa de Venezuela, Vladimir Padrino López, dijo ayer que hay “una guerra no declarada” tras el despliegue de buques de Estados Unidos en el mar Caribe, que consideró como una “ame...

El presidente de Estados Unidos, Donald Trump, informó este viernes que el Ejército realizó un nuevo ataque cinético “letal” contra un “barco afiliado a una organización terrorista” y confirmó la m...

El primer ministro británico, Keir Starmer, y el presidente de EEUU, Donald Trump, firmaron ayer un tratado de prosperidad tecnológica, con especial atención a la inteligencia artificial (IA) y a l...

El ejército israelí advirtió este viernes que empleará una “fuerza sin precedentes” en Ciudad de Gaza, y urgió a los habitantes a huir hacia el sur después de anunciar el cierre de una ruta de evac...

NACIONES UNIDAS. Estados Unidos volvió a vetar ayer una resolución del Consejo de Seguridad de la ONU que pedía un alto el fuego en Gaza, la liberación de los rehenes israelíes por parte de Hamás y...

Tomar un medicamento para perder peso puede ser emocionante y atemorizante a la vez. Los medicamentos llamados semaglutidas —más conocidos por sus nombres comerciales Ozempic y Wegovy— han demostra...

Firme en su apuesta por un mundo donde convergan lo real y virtual, Mark Zuckerberg presentó sus gafas más inteligentes con una pequeña pantalla que permite a los usuarios ver mensajes, fotos y más...

El ministro cubano de Relaciones Exteriores, Bruno Rodríguez, denunció este miércoles que las sanciones de Estados Unidos contra la isla generan, más allá del costo económico, “un daño humano extra...

La Santa Sede no puede posicionarse para decir si Israel está cometiendo un genocidio en la Franja de Gaza, afirmó el papa León XIV en una entrevista concedida en julio y publicada este jueves.

El ex presidente brasileño Jair Bolsonaro, condenado la semana pasada por intento de golpe de Estado, fue diagnosticado de cáncer de piel, anunció este miércoles su médico.

Más de 15.000 muertes pueden atribuirse al cambio climático al final de este verano boreal en las principales ciudades europeas, afirman investigadores en un trabajo aún preliminar, pero cuyo inter...

Investigadores de Naciones Unidas acusaron ayer a Israel de cometer un “genocidio” en Gaza con el fin de “destruir a los palestinos” y culparon al primer ministro y a otros altos cargos del país de...

WASHINGTON. El presidente de Estados Unidos, Donald Trump, presentó el pasado lunes una demanda de 15.000 millones de dólares contra el diario The New York Times por difamación y calumnia.

El Gobierno de Javier Milei anunció ayer que abrirá una licitación internacional para privatizar en parte la empresa Nucleoeléctrica Argentina (Nasa), que opera las tres centrales nucleares del paí...

La tensión entre Estados Unidos y Venezuela escaló después de que el presidente Donald Trump confirmara que las fuerzas armadas estadounidenses hundieron una segunda lancha en el Caribe sur en tres...

El presidente argentino, Javier Milei, arribó a Paraguay en la mañana de este martes para desarrollar una agenda que combina actividades políticas, académicas y bilaterales. Su presencia en la Conf...